Предложены варианты названий новых улиц Лиды
Согласно Закону Республики Беларусь от 16 ноября 2010 г. № 190-3 «О наименованиях географических объектов» Лидский районный исполнительный комитет с 1 ноября по 1 декабря 2014 года выносит на общественное обсуждение и изучение мнения граждан вопрос о присвоении наименований существующей улично-дорожной сети в г. Лида:
элементу, расположенному от земельного участка РУП «Барановичское отделение Белорусской железной дороги» (железная дорога Молодечно-Лида-Мосты, 792-817 км) на север 1500 м до пересечения с ул. Коммунистической, наименование на белорусском языке - «Аб’язная», на русском языке - «Объездная», определив вид элемента - улица;
элементу, расположенному от проектируемой улицы «Объездная» на запад 1350 м до пересечения с автодорогой РУП «Гродноавтодор (подъезд к г. Лида от а/д М-6 Минск-Гродно-граница Республики Польша (Брузги)), наименование на белорусском языке - «Гродзенская», на русском языке - «Гродненская», определив вид элемента - улица;
элементу, расположенному от проектируемой улицы «Гродненская» на юго-запад 500 м до земельного участка РУП «Конус» для обслуживания завода по защите от коррозии металлоконструкции методом горячего оцинкования, наименование на белорусском языке - «Завадская», на русском языке - «Заводская», определив вид элемента - улица;

элементам индивидуальной жилой застройки микрорайона «Молодежный»:
Наименование Предложение по наименованию
проектируемая №1 продление ул. Фомичева
проектируемая №2 ул.Радунская
проектируемая №3 ул. 1-я Радунская
проектируемая №4 ул. 2-я Радунская
проектируемая №5 ул. 3-я Радунская
проектируемая №6 ул. Авангардная
проектируемая №7 ул. 2-я Ивановская
проектируемая №8 ул. 1-я Ивановская
проектируемая №9 ул. Ивановская
проектируемая №10 ул.Боровая
проектируемая №11 ул. Юбилейная
проектируемая №12 ул. 1-я Юбилейная
проектируемая №13 ул. 2-я Юбилейная
проектируемая №14 ул. 3-я Юбилейная
проектируемая №15 ул. 4-я Юбилейная

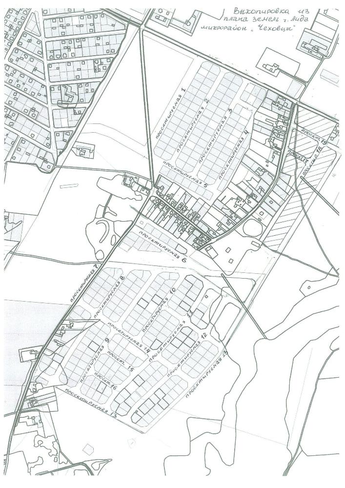
элементам индивидуальной жилой застройки микрорайона «Чеховцы»
Наименование Предложение по наименованию
проектируемая №1 ул.Гудская
проектируемая №2 ул.Весенняя
проектируемая №3 ул.Кипарисовая
проектируемая №4 ул.Янтарная
проектируемая №5 ул.Каменная
проектируемая №6 ул. Ольховая
проектируемая №7 продление ул. Приозерная
проектируемая №8 ул. Гостинная
проектируемая №9 ул. Звёздная
проектируемая №10 ул. Мечтателей
проектируемая №11 ул. Добрая
проектируемая №12 ул.Отрадная
проектируемая №13 ул. Окружная
проектируемая №14 ул. Чистых Рос
проектируемая №15 пер. 1-й Звездный
проектируемая №16 пер. 2-й Звездный
проектируемая №17 ул. Хлебная
проектируемая №18 ул. Трокельская
проектируемая №19 ул. Багряная

Граждане вправе высказывать мнения и вносить предложения по вопросам наименования проектируемых улиц в течение одного месяца с даты опубликования извещения в средствах массовой информации и его размещения в глобальной сети Интернет.В письменной форме мнения граждан принимаются по адресу: 231300 г. Лида, ул. Чапаева, 19, кабинет № 40. Адрес электронной почты для электронных обращений: lidaraizem@tut.by или на официальный сайт Лидского райисполкома obrascheniya_lida@mail.ru.







